JR東室蘭駅徒歩圏内。


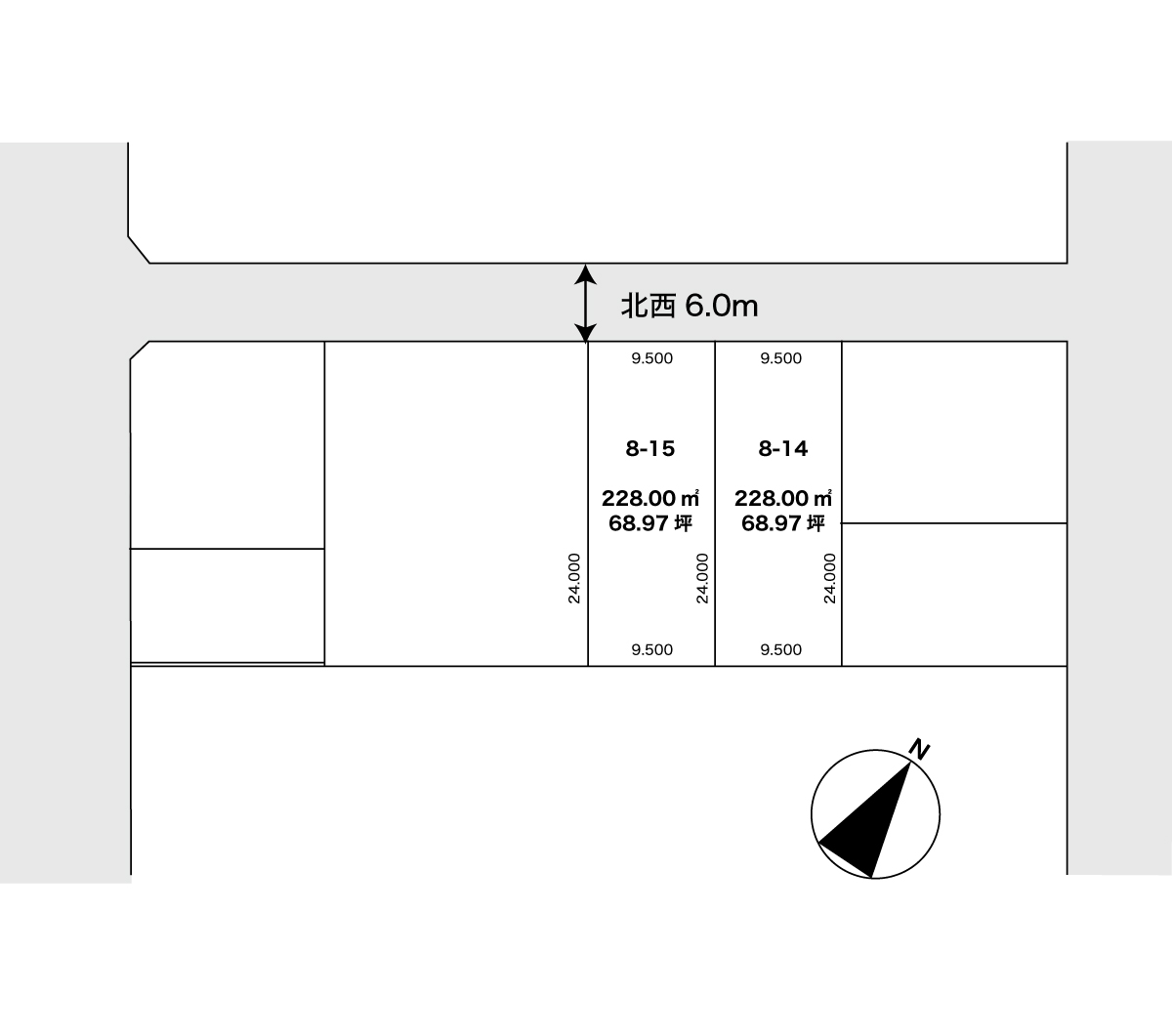
| 区画番号 | 土地面積(㎡) | 土地面積(坪) | 販売価格 | 備考 |
|---|---|---|---|---|
| 8-14 | 228.00㎡ | 68.97坪 | 8,897,130円 | 建築条件付 |
| 8-15 | 228.00㎡ | 68.97坪 | 8,897,130円 | 建築条件付 |
| 所在地 | 室蘭市宮の森町4-8-14,15 |
|---|---|
| 交通 | 道南バス「宮の森4丁目」徒歩2分、「礎の路」徒歩4分 |
| 販売区画数 | 2区画 |
| 地目 | 宅地 |
| 用途地域 | 第一種住居地域 |
| 建ぺい率 | 60 |
| 容積率 | 200 |
| 道路幅員 | 市道6m |
| 設備 | 室蘭市上下水道、北海道電力、都市ガス |
| 取引形態 | 売主 |
| 売主 | 東陽ハウス株式会社 |
| 土地販売の条件 | 土地販売の条件 |